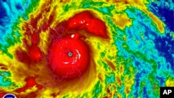
یکی از قوی ترین توفان های استوایی تاکنون به ثبت رسیده مناطق مرکزی فیلیپین را در می نوردد و باعث رانش زمین و ویرانی ساختمان ها شده است. تا کنون دست کم ۴ نفر کشته شده اند.
بنینو آکینو، رئیس جمهوری فیلیپین، دستور تخليه عموم را از اين مناطق صادر کرده بود.
برق و ارتباطات بسیاری از مناطق مرکزی فیلیپین قطع شده است. این توفان روز جمعه به جزایر لیته و سمر رسید.
توفان هایان در اوايل روز جمعه همراه با وزش شديد باد با سرعت ۳۱۵ کيلومتر در ساعت، استان «سمر» را در هم کوبيد.
رئیس جمهوری فیلیپین در سخنرانی ملی روز پنجشنبه خود گفته بود «خطر بطور واقعی وجود دارد» و افزود « هیچ توفان نمی تواند مردم متحد فیلیپین را به زانو در آورد.»
او به شهروندان بيش ۱۰۰ منطقه ساحلی نسبت به احتمال موجهايی با ارتفاع ۶ متر هشدار داد. وی گفت: هواپیماهای نظامی، هلیکوپترها و کشتی های کشور به حال آماده باش برای پاسخ به طوفان، و ارائه کمک های امدادی در آمده اند و در مناطقی که انتظار می رود تحت تاثیر طوفان قرار بگیرند، مستقر شده اند.
توفان هایان که در فیلیپین به آن توفان یولاندا می گویند با بادهایی با سرعت ۳۱۵ کیلومتر در ساعت شماری از جزایر فیلیپین را در هم کوبید.
برخی از هواشناسان می گویند این شدیدترین توفانی است که تا کنون به خشکی رسیده است.
مسوولان مرگ ۴ نفر و زخمی شدن ۷ نفر را بر اثر توفان تایید کرده اند. احتمال می رود شمار کشته شدگان افزایش یابد.
گزارش شده بیش از ۷۰۰ هزار نفر در ۲۹ استان فیلیپین تحت تاثیر این توفان قرار بگیرند.
یک سخنگوی رئیس جمهوری فیلیپین گفته است که دولت برای توزیع کمک ها و جلوگیری از تلفات وسیع در مناطقی که شدید تر آسیب ببیند به سختی فعالیت می کند.
بنینو آکینو، رئیس جمهوری فیلیپین، دستور تخليه عموم را از اين مناطق صادر کرده بود.
برق و ارتباطات بسیاری از مناطق مرکزی فیلیپین قطع شده است. این توفان روز جمعه به جزایر لیته و سمر رسید.
توفان هایان در اوايل روز جمعه همراه با وزش شديد باد با سرعت ۳۱۵ کيلومتر در ساعت، استان «سمر» را در هم کوبيد.
رئیس جمهوری فیلیپین در سخنرانی ملی روز پنجشنبه خود گفته بود «خطر بطور واقعی وجود دارد» و افزود « هیچ توفان نمی تواند مردم متحد فیلیپین را به زانو در آورد.»
او به شهروندان بيش ۱۰۰ منطقه ساحلی نسبت به احتمال موجهايی با ارتفاع ۶ متر هشدار داد. وی گفت: هواپیماهای نظامی، هلیکوپترها و کشتی های کشور به حال آماده باش برای پاسخ به طوفان، و ارائه کمک های امدادی در آمده اند و در مناطقی که انتظار می رود تحت تاثیر طوفان قرار بگیرند، مستقر شده اند.
توفان هایان که در فیلیپین به آن توفان یولاندا می گویند با بادهایی با سرعت ۳۱۵ کیلومتر در ساعت شماری از جزایر فیلیپین را در هم کوبید.
برخی از هواشناسان می گویند این شدیدترین توفانی است که تا کنون به خشکی رسیده است.
مسوولان مرگ ۴ نفر و زخمی شدن ۷ نفر را بر اثر توفان تایید کرده اند. احتمال می رود شمار کشته شدگان افزایش یابد.
گزارش شده بیش از ۷۰۰ هزار نفر در ۲۹ استان فیلیپین تحت تاثیر این توفان قرار بگیرند.
یک سخنگوی رئیس جمهوری فیلیپین گفته است که دولت برای توزیع کمک ها و جلوگیری از تلفات وسیع در مناطقی که شدید تر آسیب ببیند به سختی فعالیت می کند.